Viernes, 02 de Enero del 2026
• Tiempos de Victorias, por gracia de Dios!
MENU
Inicio
Nacionales
Municipales
Economicas
Deportes
Internacionales
Coronavirus
Galerias
Especiales
Juventud
Fiestas Patrias 2025
Internacionales
Lluvias provocan descarrilamiento de dos trenes en India
Lluvias provocan descarrilamiento de dos trenes en India
¿Existe algún lugar en la Tierra donde ponerse a salvo del cambio climático?
Mueren 16 personas por choque de autobuses en Rusia
Bombardeos de Hiroshima y Nagasaki, crímenes que no caducan
Esperan llegar a acuerdo con Grecia sobre rescate antes del 20 de agosto
Esperan llegar a acuerdo con Grecia sobre rescate antes del 20 de agosto
Sismo de 5.8 grados Richter sacude a Chiapas
Sismo de 5.8 grados Richter sacude a Chiapas
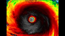
El 'Supertifón Soudelor', la peor tormenta del año, amenaza al Pacífico occidental
El 'Supertifón Soudelor', la peor tormenta del año, amenaza al Pacífico occidental
Puerto Rico entra en 'default' por primera vez en su historia y abre la veda a más impagos
Puerto Rico entra en 'default' por primera vez en su historia y abre la veda a más impagos
Grecia espera acuerdo de rescate antes del 18 de agosto
Grecia espera acuerdo de rescate antes del 18 de agosto
Mueren 12 personas tras derrumbe de edificio en India
Mueren 12 personas tras derrumbe de edificio en India
Inicio
« Anterior
831
832
833
834
835
836
837
838
839
Siguiente »
Página 835 de 1.469
Noticias Recientes
MAG reporta crecimiento sostenido en la producción de huevo en granjas tecnificadas y fincas familiares
Precios de gasolina y diésel se mantienen sin variación en Nicaragua en la primera semana de enero del 2026
Comunicado del Ministerio de Salud de Nicaragua sobre cigarrillos electrónicos
Conozca el calendario escolar del año lectivo 2026 de Nicaragua
Lo más destacado
Más de 30.000 actividades llenarán de alegría y unión a Nicaragua este fin de semana
Anuncian calendario de Ejercicios de Protección de la Vida para el 2026
ENACAL monitorea parámetros de la laguna de Asososca tras afectaciones en el suministro por volteo térmico
Ministerio de Educación circula el Programa de Trabajo para el Ciclo Escolar 2026