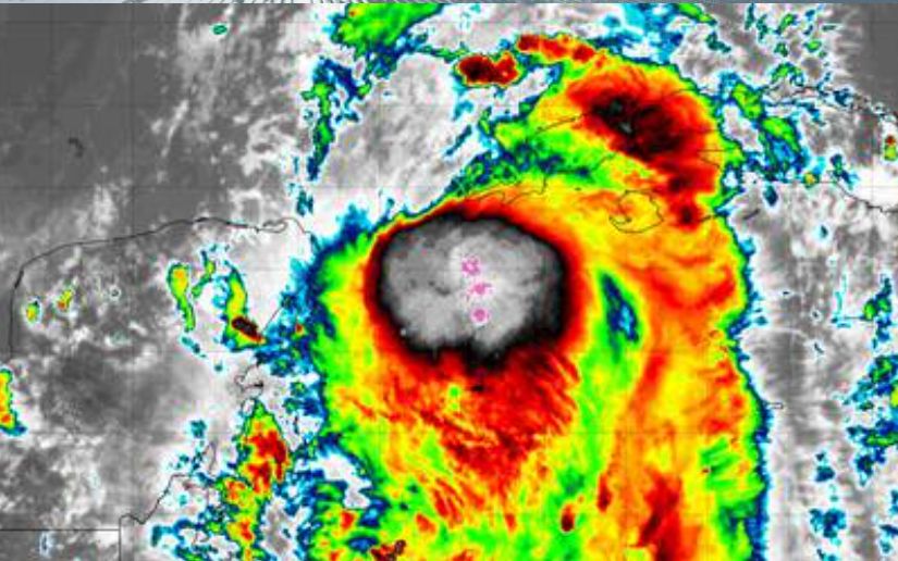
La tormenta tropical Idalia, que persiste al oeste de Cuba, está a punto de convertirse en un huracán, según el Centro Nacional de Huracanes de Estados Unidos (NHC, por sus siglas en inglés).
A las 3:00 GMT de este martes, el centro de Idalia se situaba cerca de la latitud 22.0 Norte, longitud 85.0 Oeste. La tormenta tropical se estaba moviendo hacia el norte a unos 13 km/h y podría avanzar en dirección norte-noreste más rápido a lo largo de la jornada de hoy y el miércoles.
Los vientos máximos sostenidos rondan los 110 km/h, con ráfagas más fuertes.
"Se pronostica un fortalecimiento rápido durante el próximo día más o menos. Idalia podría convertirse en un huracán en cualquier momento y se pronostica que se convierta en un huracán mayor tarde el martes o el martes en la noche", alertó el NHC.
En la trayectoria pronosticada, el centro de Idalia podría moverse sobre el este del golfo de México el martes, y alcanzar la costa del golfo de Florida el miércoles.
El Estado Mayor Nacional de la Defensa Civil de Cuba anunció que a partir de las 18:00 (GMT-4) se establece la fase de alarma ciclónica para las provincias Pinar del Río, Artemina y el Municipio Especial Isla de la Juventud. Las provincias de Mayabeque y La Habana pasan a la fase de alerta.













