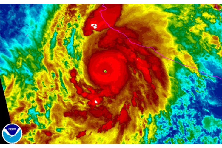
Enrique Peña Nieto alertó sobre los impactos del paso del huracán "Patricia", considerado como uno de los más poderosos de los últimos 50 años.
El titular del Ejecutivo indicó que de existir la categoría 6 en la escala Saffir-Simpson, el fenómeno meteorológico al que México se enfrentará en las próximas horas lo seria. "Advierto momentos difíciles", dijo en entrevista con Joaquín López Dóriga en Grupo Fórmula.
Protección Civil ha alertado a la población sobre la peligrosidad del huracán cuyo impacto se prevé ocurrirá cerca de Manzanillo y se extenderá por las costas de Jalisco, Colima y Nayarit.
En ese sentido, Peña Nieto recomendó a todos los que viven en la zona a resguardarse en lugares seguros y alejarse de zonas de peligro; por el momento se desconocen las consecuencias, debido a que es un fenómeno nunca antes visto. El mandatario también pidió a todos los medios de comunicación que continuén alertando sobre las actualizaciones más recientes sobre el fenómeno meteorológico.
"Hago un llamado reiterado para que la población evite transitar y pueda guarecerse o refugiarse en lugares seguros”, señaló.
El gobierno federal está preparado para, tras el impacto, respaldar y apoyar a la población.













