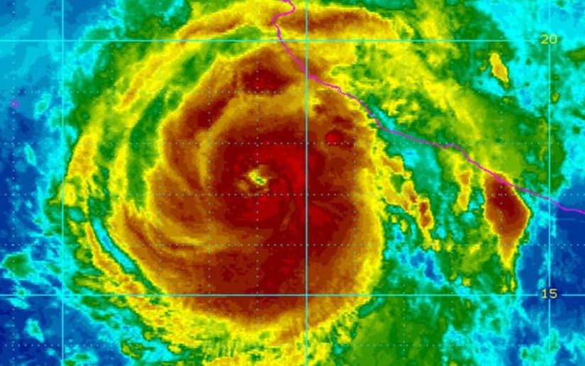
El huracán Dora se formó el lunes en el Pacífico ante la costa suroccidental de México.
Los vientos sostenidos máximos del huracán rondaban las 80 millas por hora y se esperaba que ganaran algo de fuerza antes de debilitarse a partir del martes.
La tormenta tenía su centro unas 170 millas al sur-suroeste de Manzanillo, México, y avanzaba hacia el oeste-noroeste a unos 13 millas por hora.
El rumbo previsto de Dora mantendría el centro del sistema fuera de tierra firme en la costa suroccidental de México, según el Centro Nacional de Huracanes de Estados Unidos. Sin embargo, la tormenta afectaba a zonas de la costa mexicana y se esperaba que causara corrientes y oleaje peligrosos.













