El supertifón Hagibis, la tormenta más potente en la Tierra, según la Administración Nacional Oceánica y Atmosférica de EE.UU. (Noaa), se está dirigiendo hacia Japón con vientos de más de 240 kilómetros por hora y se espera que toque su territorio este fin de semana.
La alerta es máxima ya que afectará a zonas tan pobladas como Tokio con gigantes olas, vientos huracanados e intensas lluvias.
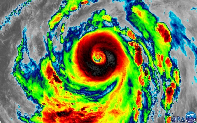
Hagibis cobró fuerza de forma muy rápida y se trasformó de tormenta tropical a supertifón en solo 18 horas.
NOAA/NASA's #SuomiNPP satellite shows a remarkable close up of #SuperTyphoonHagibis, with its eye clearly visible in this infrared image from the #VIIRS instrument. Forecasters predict #Hagibis could impact #Tokyo by Saturday, where the 2019 Rugby World Cup is going on. #RWC2019 pic.twitter.com/fqG3gS8e2s
— NOAA Satellites - Public Affairs (@NOAASatellitePA) October 8, 2019
El investigador de huracanes en la Universidad Estatal de Colorado (EE.UU.), Philip Klotzbach, afirmó a través de su cuenta en Twitter que se trata de "la mayor intensificación" por parte de un ciclón tropical en el Pacífico noroccidental durante dicho período desde el tifón Yates, en 1996.
Hagibis ya ha impactado las Islas Marianas del Norte, donde desató grandes lluvias y fuertes vientos y se prevé que la noche del próximo sábado o la mañana del domingo se acerque a la isla japonesa de Honshu.
Los meteorólogos esperan que antes de aproximarse al territorio nipón se debilitará, y llegará ya como una tormenta de categoría 1 o 2, aunque todavía hay dudas sobre su trayectoria final.
También la Agencia Meteorológica de Japón calificó la intensidad de Hagibis de "violenta".
El super tifón Hagibis podría alcanzar su máximo potencial en las próximas horas, cuando se prevé que alcance puntualmente rachas de 290km/h. Este monstruo meteorológico se dirige hacia Japón, a donde podría llegar en un par de días. pic.twitter.com/8HdFbl4Rct
— TELEPLANETA (@rtveteleplaneta) October 9, 2019
Huracán y Tifón
La palabra huracán tiene su origen en el lenguaje de los nativos de la zona del Caribe que llamaban de esta forma al dios del viento. Por otra parte el término tifón es una alteración de la expresión china “typhoon” que significa viento fuerte. La única diferencia que existe entre ambos fenómenos es geográfica, uno afecta al Atlántico y el otro al Pacífico. En lo demás son eventos de la atmósfera absolutamente idénticos.













