Martes, 23 de Diciembre del 2025 • Tiempos de Victorias, por gracia de Dios!

Internacionales

Uber pierde la licencia para operar en Londres

La ciudad de Londres ha rechazado una nueva licencia a la aplicación de transporte Uber para operar en la ciudad, según informa el diario británico The Guardian.


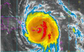
El huracán María recuperó la categoría 3 y causa estragos en República Dominicana

El huracán María destrozó zonas de República Dominicana con fuertes lluvias y vientos máximos sostenidos de 185 kilómetros por hora en su paso por las costas este y norte del país, tras un impacto directo sobre Puerto Rico que causó un muerto, graves inun

México: Van 245 muertos tras terremoto de magnitud 7.1

El estado con más víctimas es Ciudad de México, con 115 fallecidos, seguido por 69 en Morelos, 43 en Puebla, 13 en el Estado de México, cuatro en Guerrero y uno en Oaxaca.

Huracán María recobra categoría 3 cerca de República Dominicana

El ciclón María recuperó este jueves la categoría 3 cerca del extremo oriental de la República Dominicana, con vientos de hasta 185 kilómetros por hora, informó el Centro Nacional de Huracanes (NHC por su sigla en inglés) de Estados Unidos (EE.UU.).

Peña Nieto pide unidad y urge a salvar más vidas tras terremoto de 7,1 en México

El presidente de México, Enrique Peña Nieto, pidió el miércoles unidad ante la catástrofe generada por el terremoto de magnitud 7,1 que golpeó el país el martes, y urgió a las autoridades correspondientes a salvar más vidas.

Rescatan a niña de ocho años sepultada por 33 horas tras el sismo en México

Una niña de ocho años fue rescatada con vida la noche de este martes en Ciudad de México, luego de permanecer más de 30 horas sepultada bajo los escombros.

Autoridades de Puerto Rico advierten permanencia de peligro por María

El director de la Agencia Estatal para el Manejo de Emergencias y Administración de Desastres (Aemead), Abner Gómez, alertó hoy que el huracán María produjo gran devastación sobre Puerto Rico y advirtió la permanencia del peligro.