El director de la Agencia Estatal para el Manejo de Emergencias y Administración de Desastres (Aemead), Abner Gómez, alertó hoy que el huracán María produjo gran devastación sobre Puerto Rico y advirtió la permanencia del peligro.
Gómez informó que todos los abonados de la Autoridad de Energía Eléctrica están sin servicio.
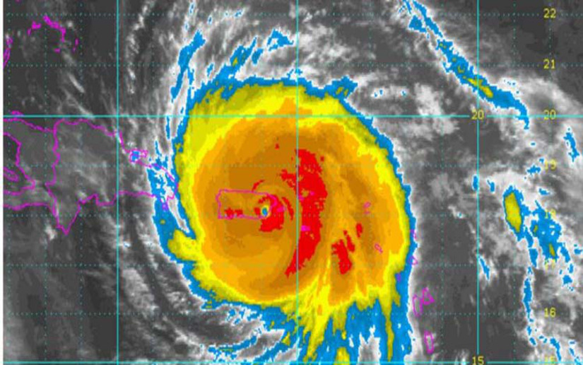
En sus declaraciones el funcionario explicó que el huracán saldrá por el noroeste del país, cerca de la comunidad de Arecibo, entre las 14:00 y las 17:00 hora local, e instó a los residentes del área a resguardarse.
Hasta el momento no se tienen noticias de muertes y esperamos no tenerlas, aseveró Gómez durante una actualización de la situación del país desde la sede de la Aemead, en San Juan.
Por su parte, el meteorólogo del Servicio Nacional de Meteorología, Carlos Anselmi, sostuvo que el huracán se está moviendo más rápido, a 19 kilómetros por hora.
Aunque el sistema se aleje, las condiciones peligrosas van a continuar, todavía el jueves no es momento para salir, recordó Gómez, y enfatizó en la existencia de tendido eléctrico en el suelo como condición propicia para accidentes.
La línea de transmisión eléctrica de 230 mil voltios y otra de 115 mil voltios que conectan a los municipios de Aguirre con Costa Sur salieron del sistema central de generación, informó el director de la Aemead.
Gómez destacó que las afectaciones en el servicio de agua potable no se pueden cuantificar por la falta de electricidad, y además el edificio central de la Autoridad de Acueductos y Alcantarillados sufrió graves daños.
Los termómetro pluviales reportan acumulados de entre 300 y 600 milímetros de lluvia, lo que provocó el obligatorio drenaje de varias represas como Carraízo, La Plata y las de Toa Vaca.
La sala de urgencias del Hospital Regional del municipio Bayamón se inundó y fue necesario evacuar a los pacientes a un área segura, lo mismo sucedió con los del sexto piso del Hospital Menonita luego de que los cristales del recinto se rompieran a causa de los vientos del huracán, expuso Gómez.
Los municipios de Loíza, Canóvanas, Río Grande y Toa Baja, ubicados en el noroeste, son lo de mayores afectaciones hasta el momento.













